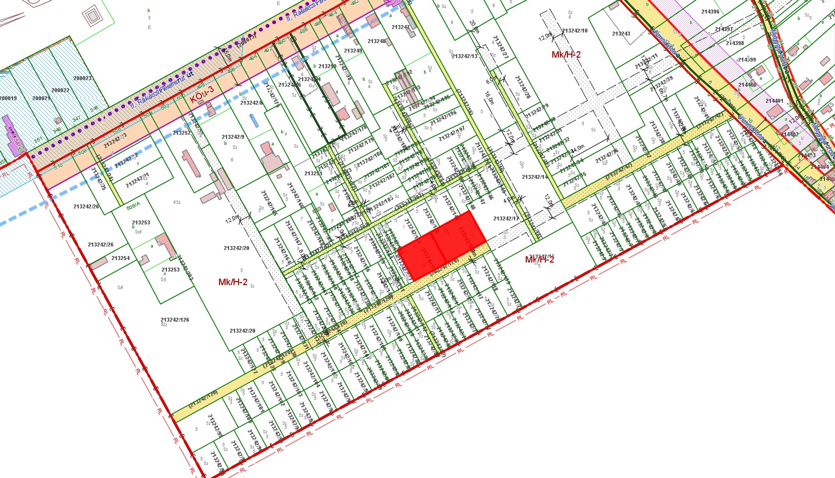
FOR SALE! 3,176 m2 arable land
(1211 Budapest XXI. district (Csepel), 0213242/143 & 0213242/144 hrsz.) Sale price:
€ It can be taken out of cultivation!
Floor area ratio (FAR): limits the building size
on the plot. It is the ratio of a building's total floor
area (gross floor area) to the size of the piece of land
upon which it is built.
Important!
Floor(s) below field level are not included in FAR!
Budapest 0213242/143 hrsz 1,448 m2-es and 0213242/144 hrsz 1,728 m2 (total: 3,176 m2), undeveloped development areas, garden agricultural outlying areas with their current characteristics are only suitable for farming, other economic activities require the withdrawal from cultivation can be done after.
Given that the development areas in the neighboring "Ürge hegy" in Szigetszentmiklós are subject to the 402/2020 (XII.08.) no. with the Szigetszentmiklós Local Government Decision, it was brought into the inner area (Gksz-22 zone), commercial, logistical and related infrastructure developments planned by Gestor Real Estate Kft. in the area (typically the currently still incomplete utilities and roads) became possible. Due to the above, after the withdrawal from cultivation, the area will become perfectly suitable for the creation of a truck parking space and other commercial and logistical developments.
74.§ (2) Buildings for the maintenance of the area (tool room, storage, living room, cellar, buildings for the processing, storage and sale of one's own product, etc.) may be established. Local government buildings providing social care and sports facilities can be located in all zones.
74.§ (6) The condition for the establishment of a place of residence and other facilities requiring a social room is the existence of partial public works with a closed sewage reservoir. A residential building of a size that meets the zoning regulations [in the case of the area, this is not met, as the required floor area is at least 6,000 m2 in the case of this zone] can be built on the plot if there is a public water supply and a public waste water supply.
92.§ (7) The garden agricultural zone marked Mk/H-2 is intended for the purpose of a garden urban residential area in the future. The facilities specified in Section 74.§ (2) can be placed on existing plots of land in the zone in such a way that they do not hinder the planned long-term use.
According to Annex 7, the properties are affected by the right of pre-emption of the Csepel Municipality of Budapest XXI. District.
The Budapest XXI. The most economical utilization of the total area of 3,176 m² in HRSZ 0213242/143 and 0213242/144 depends on several factors, including current legislation, environmental features and market needs. The best possible development options are listed below:
Development for Logistics and Warehousing Truck Parking: The area may be ideal for truck parking, especially if traffic increases as a result of developments in neighboring areas and infrastructure improvements. Warehouses: Building warehouses close to industrial and commercial areas can be economical. Nearby developments may increase storage requirements.
Service and Commercial Developments Commercial Units: Creating commercial units such as a shop or service center can be cost-effective, especially to serve growing residential needs. Services: Service units, such as restaurants, cafes, or other catering establishments, may be in demand if growing residential areas develop near the area.
Green areas and Horticultural Use Horticulture: The area can be used to develop small or large horticultural plants, especially if the local community requires fresh produce. Community Garden: Development of community gardens or green spaces that can contribute to the local community and sustainable use.
Educational and Social Facilities Educational Center: Educational facilities, such as vocational training centers or course venues, can add value to the area. Social Facilities: Facilities providing social care, such as nursing homes or social centres, which meet local needs.
Future Development Opportunities Residential park: If the area becomes inland in the future, it is also possible to create a residential park. Developments of this kind can provide significant returns in the long term. Industrial Park: Utilization as an industrial park can also be considered if the area becomes accessible and meets traffic and utility needs.
Real estate location
1211 Budapest XXI. district (Csepel), 0213242/143 & 0213242/144 hrsz.